
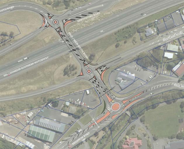
A $750,000 proposal to build three traffic roundabouts to improve traffic flow and safety at Green Island has been welcomed by residents and community representatives.
After years of discussion and lobbying, the Dunedin City Council and NZ Transport Agency have released plans for three roundabouts at the intersections of Main South Rd with Westland St, Abbotsford Rd and Brighton Rd.
DCC transportation safety team leader Hjarne Poulsen said roundabouts were the preferred option for the busy intersections, which had been under pressure as traffic volumes increased in Mosgiel, Green Island and surrounding suburbs.
"The proposed design will make the area safer and improve the flow of traffic,'' Mr Poulsen said.
The plans, which were released last week for community consultation, also included installing new traffic islands and changing kerbs to narrow the road at intersections.
Mr Poulsen said the planners had studied traffic counts done late last year, which showed the average daily number of vehicles on Brighton Rd, near the landfill, was 8100, and 8600 on Main South Rd.
The NZTA had noted the increase in traffic volumes, the number of crashes in recent years, and was concerned about "tail backs'' on the motorway off-ramps, senior safety engineer Roy Johnston said.
Consequently, the NZTA was glad to fund two of the roundabouts "which will improve efficiency and safety for all road users'', he said.

Greater Green Island Community Network worker Leanne Stenhouse was "thrilled'' the plans had been released and said the community had responded positively.
"We have had lots of positive comments so far. People are keen to see it happening.''
Network committee member and Green Island police officer Senior Constable Fred Jansen also approved of the plans, saying they would help relieve the pressure of growing traffic volumes due to housing developments in the area.
"These plans will improve safety for everyone,'' he said.
The large amount of consultation by the DCC and NZTA, in conjunction with the network and Saddle Hill Community Board, had meant the community had felt involved throughout, Ms Jansen said.
Brighton Rd resident Helen Geddes who, with husband Mike, highlighted the dangers of the Green Island intersections through The Star in September 2016, said the proposal was "magic''.
"I think it is really great that the DCC and NZTA have come to the party on this issue.
" I'm really pleased with the way things have turned out. It can only improve the safety of those roads.''
Saddle Hill Community Board chairman Scott Weatherall also expressed support for the plans, paying tribute to Mr Poulsen's expertise and effort in moving the project forward.
"It is something the community has advocated for a long time, so it's very good to see it coming to fruition,'' he said.
Following community feedback, work is expected to start in 2018.
• To give feedback on the proposal, email transportation.safety@dcc.govt.nz or phone 477-4000 by July 21. To view a plan of the proposed work and give feedback, visit www.dunedin.govt.nz/consultation.
BRENDA.HARWOOD @thestar.co.nz











